首頁 -> 大灣區
廣深港高鐵所有班次取消 羅湖、福田口岸暫停服務分享到:
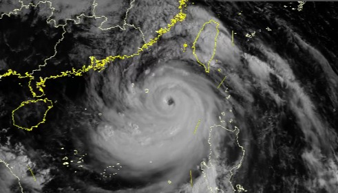
香港新聞網9月24日電 香港十號颶風信號熱帶氣旋警告正生效。深港跨境口岸羅湖口岸、福田口岸港鐵東鐵綫已暫停服務,廣深港高鐵西九龍站口岸9月24日所有高鐵列車班次取消。 文錦渡口岸、蓮塘口岸跨境車輛可正常通關,跨境公共交通暫停;皇崗口岸跨境車輛可正常通關,皇巴(穿梭巴士)每小時一班有限度運行。 天文台表示,“樺加沙”正開始遠離本港,但與其相關的颶風仍間中影響香港西南部,十號颶風信號會維持一段時間。 深圳市三防指揮部提醒,超強颱風“樺加沙”正影響深圳,24日凌晨至上午是風雨最強時段,請居家避險,非必要不外出。9月24日深圳全市範圍內繼續實行“五停”(停課、停工、停產、停運、停業)。(完) 【編輯:徐嘉儀】
相關新聞 |
視頻更 多
28支龍獅隊齊集錦田爭奪“獅王”殊榮 龍獅隊員:十年後再來表演舞獅爭霸!
周潤發率“百歲”港星團跑馬拉松:重在完成,重在和觀眾打個招呼
樓市寒冬已過?現在是買樓好時機嗎?聽聽地產專家怎麼說
誰能成為下一個Labubu? 潮玩商家們為何集體聚焦盲盒發展?
香港立法會舉行首次會議 通過大埔火災後支援及重建工作議案
【你不知道的香港】高樓林立的香港正悄然進行一項“移山計劃”......
【通說環球】科幻照進現實?解碼中國“南天門計劃”
來論更 多評論更 多
論壇更 多閱讀排行
|









