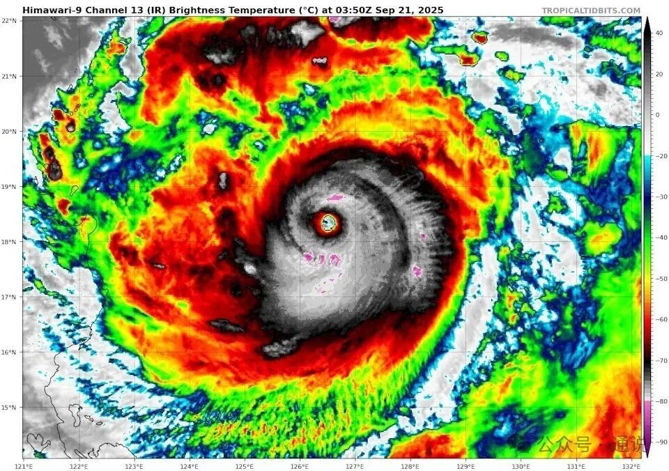
通說:這個“王”會被除名嗎?造成巨大破壞的颱風,其命名會被取消。前例不少,“天鴿”“山竹”都是如此。 如今,超強颱風“樺加沙”橫過南海,逼近香港。9月23日下午2時20分,香港天文台發8號風球,并評估當晚11時至明日凌晨3時改發9、10號風球。 “樺加沙”中心附近最高持續風速達到驚人的每小時230公里,可能成為今年西太平洋的“風王”。香港天文台前台長岑智明接受香港中通社訪問時分析,其威力超越2018年颱風“山竹”,甚或有機會增強,對香港構成嚴重威脅。
颱風的破壞力,主要取決於兩方面,一是其本身的強度威力範圍規模,一是人們防災的力度措施周延精準。 這兩天,作為中國經濟核心區域之一的粵港澳大灣區,到處出現“防禦巨災的準備”字眼,詞語間透出緊張的氣氛。 為應對“樺加沙”,香港各界嚴陣以待。23日上午,行政長官李家超落區視察不同部門的應對措施,并實地了解人員各種準備工作。早前,他已要求各司局長及部門首長不可低估颱風威力,必須做好超前部署,已特別指示保安局提早啟動緊急事故監察及支援中心。 23日早8時起,香港18區已開設超過40個臨時庇護中心。為靈活應對不同水浸情況,渠務署已準備10部“龍吸水”、水陸兩用排水機械人“小禹一號”以及可進入鄉郊狹窄路段的“迷你小禹”。與此同時,渠務署還出動200隊緊急應變隊伍隨時候命。 值得關注的是,港交所從去年9月開始實施惡劣天氣交易安排,即“打風不停市”。至今,該安排已順利運作至少4次,證明香港市場在極端天氣下具強大適應性和穩定性,對吸引國際市場的投資者非常重要。這次超強颱風“樺加沙”來襲,其破壞力被預估極強,亦是該機制生效以來的最大考驗。 根據內地中央氣象台預測,“樺加沙”將在24日凌晨至下午在廣東汕尾至海南文昌一帶沿海登陸,當天亦最接近香港。有分析預估,“樺加沙”的破壞力將與以往造成巨大災損而被除名的颱風“天鴿”“山竹”相若,當時天文台發出十號飓風信號。那麼此次“樺加沙”也會被除名嗎? 何為“除名”?又為何“除名”? 西北太平洋生成的熱帶氣旋被稱為颱風。1945年,在西北太平洋地區,人們開始用人名來命名颱風。由於缺乏組織和溝通,同一個颱風往往被周邊國家起了好幾個名字。名稱混亂使得發佈的預警信息也變得模糊。2000年1月1日,西北太平洋和南海地區的熱帶氣旋命名表正式啟用。這張表上的140個名字始終處於循環使用的狀態,直到“退役”的那一天。 一般提到“開除”,通常是因為有不好的表現才會發生,對於颱風而言,可以說亦是如此。一旦颱風“作惡多端”,即當某個颱風造成了特別重大的災害或人員傷亡時,颱風委員會成員都可以申請將該熱帶氣旋名稱從命名表中删除。除名,就意味著這些名稱將永遠代表它最後一次跟隨的颱風。
2017年8月23日,最高時速達120公里的強颱風“天鴿”從東南面吹襲澳門,登陸幾個小時便造成澳門10人死亡、240多人受傷,直接和間接經濟損失達115億澳門元。受“天鴿”影響,香港發出5年來首個10號風球,多個沿海地區出現嚴重水浸,造成最少129人受傷。
(新華社圖片) 2018年9月16日,“山竹”襲港,天文台發出十號飓風信號長達10小時,是香港自1946年以來,發出第二個維持時間最長的十號飓風信號。儘管它并非正面直吹香港,但已帶來極嚴重破壞,造成至少458人受傷,錄得6萬多宗樹木倒塌報告,數目是有紀錄以來最多。“山竹”對大部分道路和公共運輸服務造成廣泛影響,颱風過後的9月17日,不少道路受塌樹影響被封,大量巴士線仍未能恢復服務。
2019年,“天鴿”和“山竹”紛紛被颱風委員會正式除名。 作為可能成為今年西北太平洋“風王”的“樺加沙”預計最大風力達17級,它是否會重蹈“山竹”“天鴿”被除名的命運?當前,“樺加沙”的移動路徑仍在持續推進,而香港及廣東各地啟動的“超前部署”,不僅是為了最大限度削弱颱風破壞力,更是構築起一道關鍵防線,全力避免其成為下一個被除名的“狠角色”。 【編輯:彭玉婷】
|













